Před 4 měsíci
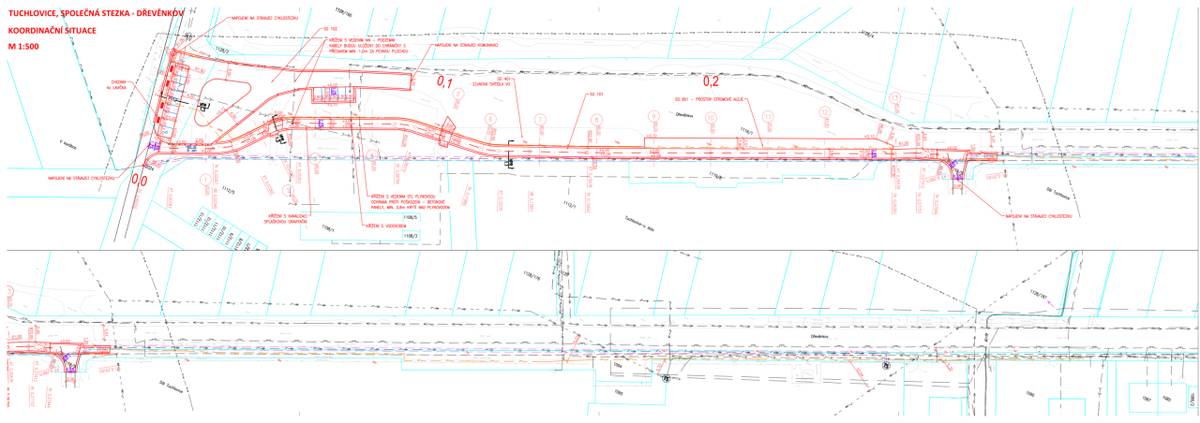
Rádi bychom vás informovali, že v týdnu od 1.9. 2025 započnou práce na propojení cyklostezky na Dřevěnkově. Stavební práce by měly být dokončeny do konce listopadu 2025. Cílem projektu je vytvořit plynulou a bezpečnou cestu pro cyklisty i pěší. Práce na cyklostezce budou zahrnovat vybudování stezky se společným provozem pro pěší i cyklisty v délce 292 m s parkovacími místy pro osobní vozidla a veřejné osvětlení. Obec zároveň podala žádost o dotaci u Státního fondu dopravní infrastruktury (SFDI) a věří, že se jí podaří na tuto akci získat finanční prostředky. Dotace by mohla pokrýt až 80 % vynaložených prostředků.