Před 1 měsícem
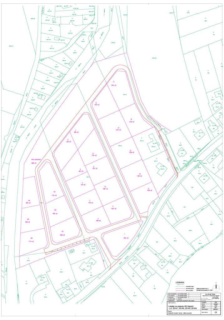
Obec Rapotín se podílí na přípravě nové lokality určené pro výstavbu rodinných domů. Záměr se týká pozemků parcelní číslo 2514/1, 2514/4, 2514/5 a 2514/9 v katastrálním území Rapotín. V této oblasti by mělo v budoucnu vzniknout celkem 24 nových stavebních parcel.